Reconstruction of Parking Field W-3, Woodmere Hewlett Parking District header

Reconstruction of Parking Field W-3, Woodmere Hewlett Parking District

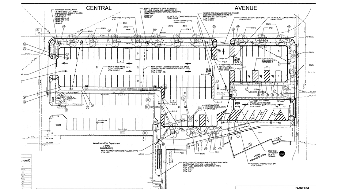
About this Project

LKB was retained by the Town of Hempstead under an On-Call Agreement to provide engineering services for the Woodmere Hewlett Parking District. LKB performed a drainage study as well as the design and preparation of final contract documents related to the reconstruction of a municipal parking lot under this contract.

Project goals included improved pedestrian circulation throughout the parking lot, better accessibility to the surrounding business district and a seamless incorporation of the perimeter streetscape. Parking lot improvements consisted of upgraded sidewalk ramps to current ADA standards, revised parking configuration, modified grading and drainage, decorative pavements, new landscaping, parking lot lighting and perimeter streetscape reconstruction.

Location

Woodmere, NY

Client

Town of Hempstead

Completion

2018

This project was originally awarded to The Vertex Companies, LLC, transferred to LKB Engineering, PLLC in December 2024.

Ready to Get Started?

Speak with an Expert

Contact Us